Notice of Proposed Sale of Library Property

PLEASE TAKE NOTICE that the Board of Trustees of the Illinois Prairie District Public Library hereby publishes notice of the sale by sealed bid of the real property owned by the Library located on Holland Road, Metamora, Illinois 61548, and described by the legal description below, on the following terms:

Bid Deadline: Noon, December 4, 2025
Form: Contract to purchase subject to all easements, covenants, and conditions of record
Price: At Bidder's Option
Terms: Cash Sale

 

Legal Descriptions:

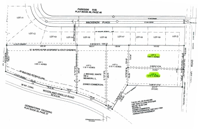
Lot 4 in HOLLAND KNOLLS TRACE, a subdivision of part of the Southeast Quarter of Section 29, Township 27 North, Range 3 West of the Third Principal Meridian, as filed March 9, 2001, in Plat Book 46, Page 45, as Document No. 101380, Woodford County; situate, lying and being in the County of Woodford and the State of Illinois. (approximately .72 acres)

P.I.N.: 08-29-406-005

 

Lot 5 in HOLLAND KNOLLS TRACE, a subdivision of part of the Southeast Quarter of Section 29, Township 27 North, Range 3 West of the Third Principal Meridian, as filed March 9, 2001, in Plat Book 46, Page 45, as Document No. 101380, Woodford County; situate, lying and being in the County of Woodford and the State of Illinois. (approximately .93 acres)

P.I.N.: 08-29-406-004

 

Bids for the purchase of the above-described property are hereby invited and will be received by the Director of the Illinois Prairie District Public Library at 208 E. Partridge Street, Metamora, Illinois 61548, between the hours of 9:00 A.M. and 5:00 P.M. until noon on December 4, 2025. Bids shall bear the name and address of the bidder. 

Any interested party may contact prior to the date of the sale Director Dawn Smith at the Illinois Prairie District Public Library, (Ph. 309-921-5074, ext. 101) during regular business hours for additional information. 

A contract may be awarded to the highest bidder whose bid is found to be in the best interest of the Library. The Board of Trustees of the Library reserves the right to reject any and all bids it deems inadequate. 

The Library shall make a contract award within 30 days after the bids have been opened and publicly read at its regular monthly meeting.